Purpose of the survey

The purpose is to understand how the Heliport itinerant area (see image and diagram below) is used and by whom. This information will help the Resort Municipality of Whistler (RMOW) understand current and future operational needs.

Currently, the itinerant area is reserved for helicopters that do not lease space at the Heliport, including emergency service operations, industry work, and visiting aircraft.

The area includes a gravel landing zone and two asphalt parking pads that are each 25 feet x 25 feet and can accommodate helicopters up to 85 feet in overall length.

Currently, four private companies are leasing space at the Heliport, and we have received interest from additional operators who would also like to lease areas. To support these requests, the RMOW is considering the creation of new lease spaces from what is now part of the itinerant area. Given the size of the itinerant area, there is capacity to accommodate additional lease areas.

Before moving forward, the RMOW is seeking to understand how much area is required for itinerant uses so we can meet the operational needs of emergency services, industry users, and visiting helicopters.

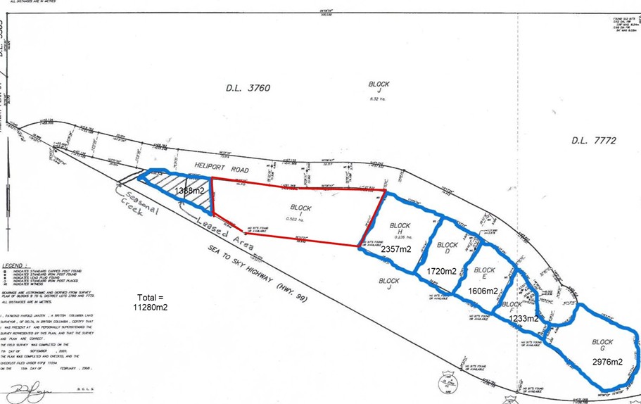
See below map of the Heliport. Current itinerant area is outlined in red.

Information is collected by the Resort Municipality of Whistler (RMOW) for the purpose of understanding how the Heliport itinerant area is used and by whom. The survey responses and your email address will be received by the RMOW via Social PinPoint and used internally for determining future operational planning needs. Please refrain from including any personal information in your responses. If submitted, these will be deleted upon receipt. All responses will be securely stored on a Canadian based server by the RMOW for a period of one year. Any questions regarding the collection or use of the information may be directed to privacy@whistler.ca.